SD1: Terfynau Datblygu

Yn dangos sylwadau a ffurflenni 1 i 30 o 161

Gwrthwynebu

Ail Gynllun Datblygu Lleol Adneuo Diwygiedig Sir Gaerfyrddin

ID sylw: 4626

Derbyniwyd: 08/03/2023

Respondent ID: 5376

Ymatebydd: Ms Sharon Luck

Cydymffurfio â’r gyfraith? Ydi

Cadarn? Nac Ydi

Crynodeb o'r Gynrychiolaeth:

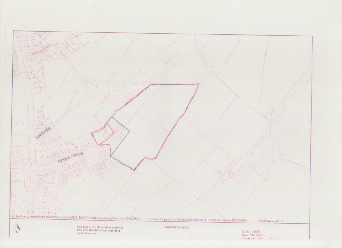
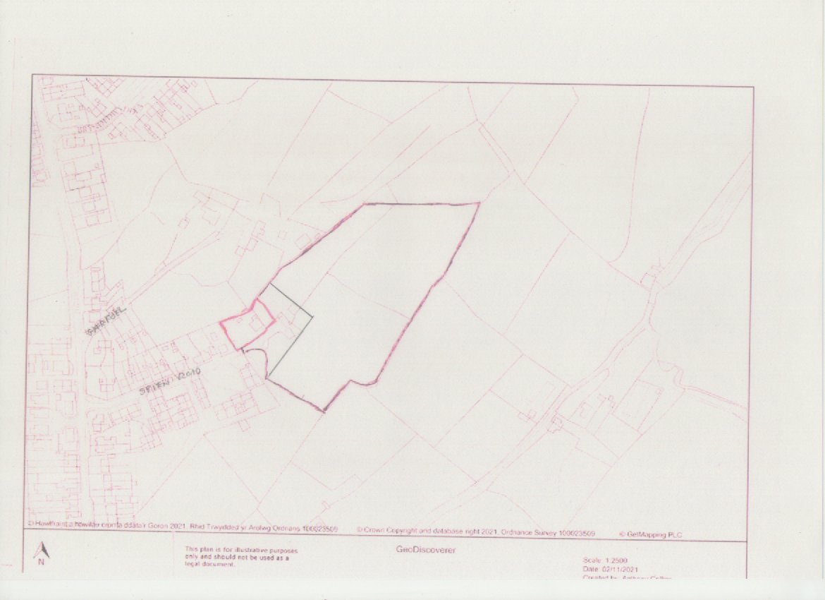
I would like the new revised plan to incorporate the existing buildings at Spienddu. It makes no sense that the original built 1800s buildings are outside of the plan by a mere few feet. It does not impact on residents and is within the properties that have been built in past years. Garnfoel properties sit much deeper into the land. Spien Road properties and the Public footpath are also out further than the line I would like to be included.
Site ref. AS2/132/001, Penygroes.

Newid wedi’i awgrymu gan ymatebydd:

The plan needs to be made to cover/incorporate the existing stone built buildings that are still intact on the land at Spienddu.This would not have any impact on the area. The properties in the next road Garnfoel already lie further back on the land and have a large workshop/building siding onto Spienddu.

Testun llawn:

I would like the new revised plan to incorporate the existing buildings at Spienddu.
It makes no sense that the original built 1800s buildings are outside of the plan by a mere few feet.

Please see attached scan/plan of Spienddu.
The large out lying line is the actual plot of 7 acres owned by me.
The smaller red line you referred to is the existing bungalow plus the permitted LDP area.
The black line that I have drawn is the area I would like to be included within the revised LDP.
This is where the existing 1800s barns and outbuildings already stand fully intact.

As you can see this does not impact on residents and is within the properties that have been built in past years.
Garnfoel properties sit much deeper into the land. Spien Road properties and the Public footpath are also out further than the line I would like to be included.

Atodiadau:


Ein hymateb:

The limits as drawn do not unfairly prejudice any future development in the highlighted areas.

Cefnogi

Ail Gynllun Datblygu Lleol Adneuo Diwygiedig Sir Gaerfyrddin

ID sylw: 4640

Derbyniwyd: 07/03/2023

Respondent ID: 3287

Ymatebydd: mrs tracy rennie

Crynodeb o'r Gynrychiolaeth:

Supports the overall proposals for Llansteffan, including the settlement limits/boundary as currently drawn. The respondent supports infill development as defined in the policy to facilitate appropriate village growth, support local families and sustain local facilities.

Newid wedi’i awgrymu gan ymatebydd:

No change.

Testun llawn:

As a resident and business owner in the village of Llansteffan, I would like to express my support in the LDP's overall proposals for Llansteffan including the settlement limits/boundary as currently drawn.

I support infill development as defined in the policy to facilitate appropriate village growth, support local families and sustain local facilities.


Ein hymateb:

Support welcomed

Cefnogi

Ail Gynllun Datblygu Lleol Adneuo Diwygiedig Sir Gaerfyrddin

ID sylw: 4646

Derbyniwyd: 27/02/2023

Respondent ID: 4568

Ymatebydd: Mr David James

Crynodeb o'r Gynrychiolaeth:

Support for the non inclusion of the site SR/021/051 in the LDP. This site has been the subject of previous consideration for inclusion in the Carmarthenshire Local Development Plan in 2014 but was rejected with no material change in any of the circumstances affecting this site since. It is considered that the inclusion of this site would constitute an incursion into the open countryside which would constitute unacceptable ribbon development, would not be consistent with the settlement’s character, and would not have regard to environmental and other considerations. It would necessitate the creation of a new artificial boundary in agricultural land and as such cannot be considered to be a natural logical or coherent extension to the existing development. The site is not accessible from the public highway. The proposal would adversely impact on nearby built development and cannot be considered to accord with sustainable development.

Newid wedi’i awgrymu gan ymatebydd:

No change to the Plan.

Testun llawn:

Re. Candidate Site: Submission reference CA0906. Land at Ffynnonddrain, Carmarthen.
I would be grateful if you would note my agreement with and support for the non inclusion of the above site in Carmarthenshire’s Deposit Revised Local Development Plan 2018-2033.
This site has been the subject of previous consideration for inclusion in the Carmarthenshire Local Development Plan in 2014.

That representation was No: D6389 CS No: 0718, Site Reference: ALT/026/027/N. At that time the application for inclusion was rejected. At that time I submitted my reasons for my concerns regarding this application be communicated to the Inspector as I believe that many representations made which would form part of the consideration are unsubstantiated, incorrect and misleading.

I did not agree with many of the assertions found in the submission for the inclusion of this land in the development plan and I objected to its inclusion. Some of the reasons I gave at that time included the following.

Since the site was previously rejected there has been no material change in any of the circumstances affecting this site with no new additional information or reasoning to justify the site’s inclusion in the revised LDP. Its inclusion would be contrary to the objectives set out in Carmarthenshire County Council’s ‘Topic Paper – Development Limits December 2018’ and the established principles of sustainable managed growth and development set out in ‘Planning Permission Wales’.

The hamlet of Ffynnonddrain has settlement limits which are defined by logical and established features in the landscape and prevent development from gradually extending into the surrounding countryside. The spatial framework of the hamlet is linear and does not lend itself to minor extensions and should not be subject to the loss of valuable residential amenity which would detrimentally affect issues of visual, landscape and nature conservation.

I consider that the inclusion of this site would constitute an incursion into the open countryside which would constitute unacceptable ribbon development, would not be consistent with the settlement’s character, and would not have regard to environmental and other considerations. Further the proposal is for a private residential dwelling and there are no special circumstances to justify the inclusion of the proposed site in the revised LDP.

The inclusion of this site will necessitate the creation of a new artificial boundary in agricultural land and as such cannot be considered to be a natural logical or coherent extension to the existing development. The site is not accessible from the public highway nor does it have a suitable access point with adequate visibility with which to achieve accessibility.

The proposal would adversely impact on nearby built development and cannot be considered to accord with sustainable development.

Yours truly

David James


Ein hymateb:

Support welcomed

Gwrthwynebu

Ail Gynllun Datblygu Lleol Adneuo Diwygiedig Sir Gaerfyrddin

ID sylw: 4648

Derbyniwyd: 09/03/2023

Respondent ID: 852

Ymatebydd: Kedrick Davies

Cydymffurfio â’r gyfraith? Heb nodi

Cadarn? Nac Ydi

Crynodeb o'r Gynrychiolaeth:

Objection to the non-inclusion of land within the Revised LDP under Policy SD1 (AS2/004/013) in Betws, Ammanford.

A large part of the land is within the development limits and allocated for housing (GA3/h15) in the current LDP with the number of units based on an approved planning application for 6 dwellings which was extant at that time. Following a subsequent dismissed appeal, a considerable amount of time and funds has been spent looking at ecological and arboricultural matters in order to devise an acceptable solution for the allocated site. It was therefore disappointing to see that the revised LDP has removed the land from the development limits. Within the community of Betws/Ammanford there are very few opportunities for residents to develop a bespoke self-build house to meet their family needs. Historically, Betws has been a popular location for self build properties and with land being available there is no reason to assume that will not continue to be the case. The inclusion of this area within the development limits for such a modest proposal does not undermine the strategic aims of the Revised LDP but does provide some much needed choice within an area that has been acknowledged as falling within the development limits for many years.

It is acknowledged that it would no longer be appropriate to consider the site as a housing allocation site as the approach being taken to respond to the site and have full regard to the planning appeal Inspectors view will reduce the number of units to two dwellings. The location of the land is ideally placed given the locality as identified in the accompanying sustainability report.

See also reps 4647 and 4649 which deal with the objection of the non inclusion of this site under separate policies.

Newid wedi’i awgrymu gan ymatebydd:

Include site within development limits for Betws, Ammanford.

Testun llawn:

Land area to form part of the Development Limits for
Betws/Ammanford so as to facilitate development of no
more than two dwellings.

The land has been identified as forming part of the settlement of Betws, Ammanford for in excess of 30+ years and there has been no material change in terms of its relationship to the settlement.

The land is currently within the development limits and allocated for housing(GA3/h15) in the current LDP with the number of units based on an approved planning application for 6 dwellings which was extant at that time. It has been subject to a number of planning applications, E/25557, E30908 etc plus the most recent E/37271. The latter one was subject to a non-determination appeal (App/M6825/A/19/3236012). A considerable amount of time and funds has been spent looking at ecological and arboricultural matters in order to devise an acceptable solution for the allocated site. A scheme was drafted which was not dissimilar to a previous permission but that application (E/37271) became subject to a non-determination appeal that was eventually dismissed by the Inspector (see attached appeal decision). In terms of the trees and ecological matters the Inspector concluded that these did not preclude the development of part of the site subject to a revised approach. Since the appeal decision we have appointed a new architect to consider the site and housing design for a smaller number of units (2 dwellings) with a “softer touch” approach with minimal ground reconfiguration.
That application will be submitted shortly given the principle of development would be in accord with the current LDP. Details of the new revised scheme will be provided to the LDP Inspector shortly.

Accompanying this submission we have included the Inspector’s appeal decision and copies of the Ecological and arboricultuarl reports upon which the Inspector reached his appeal decision on application E/37271.

Having spent so much time and funds on this scheme it was disappointing to see that the replacement Draft LDP has removed the land from the development limits. At the candidate site stage the LPA indicated in the Initial Assessment that "The location of the site relates to a settlement identified as a principal centre within the Preferred Strategy. Specific consideration will be given to its inclusion or otherwise as part of the preparation of the Deposit LDP."

As a consequence I wrote to the LPA seeking a detailed and specific explanation of why the land is being removed from the development limits given there has been no material change in circumstances?

In response the LPA replied as following;
“The site has been assessed in accordance with the Site Assessment Methodology and it was considered that there are sufficient and more suitable sites available to meet the housing needs of the area. This is due to the site’s
characteristics, namely its sloping topography, the fact that it is densely vegetated and that development on the site could negatively impact upon trees subject to Tree Preservation Orders.

As you are aware, the Deposit LDP is now subject to consultation and so this would be the opportunity for you to object to the site’s exclusion. This can be done through our website.

I should also point out that the current LDP remains to be the Local Authority’s adopted plan until the Revised LDP is adopted and supersedes it; this is anticipated to take place next year. In the meantime, you could submit an application for an appropriate scheme for the site and this would be measured against the provision of the current adopted plan.” In response I would state that within the community of Betws/Ammanford there are very few opportunities for residents to develop a bespoke self-build house to meet their family needs. Historically, Betws has been a popular location for self build properties and with land being available there is no reason to assume that will not continue to be the case. The inclusion of this area within the development limits for such a modest proposal does not undermine the strategic aims of the Revised LDP but does provide some much needed choice within an area that has been acknowledged as falling within the development limits for many years.

It is acknowledged that it would no longer be appropriate to consider the site as a housing allocation site as the approach being taken to respond to the site and have full regard to the planning appeal Inspectors view will reduce the number of units to two dwellings. In terms of the protected trees and ecological matters the planning appeal Inspector concluded that these did not preclude the development of part of the site subject to a revised design
approach. For the LPA therefore, to object to part of this land being developed on such grounds cannot be supported by the evidence. Within Wales the
topography does inevitably mean that some development will take place on sloping sites but that is indeed often a key characteristic of development in the Principality and is not a legitimate reason to resist development.

It should also be noted that in terms of a sustainable location the land is ideally placed given the locality as identified in the accompanying sustainability report. Furthermore, the planning appeal Inspector made reference to section 3 and 5 of the Well Being of Future Generations (Wales) Act 2015 and acknowledged the well-being benefits of development in this area through the provision of new housing with good access to footpaths and the countryside. Those well–being attributes enhanced by the proximity of public transport services.

In the light of my submission I respectfully request that consideration be given to the continued inclusion of the land within the development limits for Betws/Ammanford.

Atodiadau:


Ein hymateb:

Majority of the site has been duly considered in the formulation and preparation of the LDP with the reasons for its non-inclusion set out within the Site Assessment Pro-forma. The initial representation requesting its inclusion raises no additional information to justify inclusion of the suggested new site. The assessment of sites was undertaken in accordance with national guidance and the site assessment methodology and background/topic papers

Gwrthwynebu

Ail Gynllun Datblygu Lleol Adneuo Diwygiedig Sir Gaerfyrddin

ID sylw: 4651

Derbyniwyd: 16/03/2023

Respondent ID: 613

Ymatebydd: Mr K G Morgans

Asiant : Mr Mark Stephens

Cydymffurfio â’r gyfraith? Heb nodi

Cadarn? Heb nodi

Crynodeb o'r Gynrychiolaeth:

This candidate site (AS2/113/001) is proposed for consideration in the new LDP for housing allocation in Pontyates. The site was previously in the LDP as illustrated in the 2006 LDP, along with the adjacent site to the west of Tabernacle Chapel. Also, the adjacent site has received planning permission S/20802 in 2009, therefore the request is that this application be considered for re-inclusion on its historical credentials. The site has also received planning approval for a change of use of the chapel into a dwelling PL/01077, therefore this site boundary extension will facilitate another 2 or 3 detached dwellings.

Newid wedi’i awgrymu gan ymatebydd:

Include the site within the development limits.

Testun llawn:

Land adjacent to Tabernacle Chapel, Pontyates, LLANELLI SA15 5UU
This candidate site is proposed for consideration in the new LDP for housing allocation. The site was previously in the LDP as illustrated in the 2006 LDP, along with the adjacent site to the west of Tabernacle Chapel. Also, the adjacent site has received planning permission S/20802 in 2009, therefore the request is that this application be considered for re-inclusion on its historical credentials. The site has also received planning approval for a change of use of the chapel into a dwelling PL/01077, therefore this site boundary extension will facilitate another 2 or 3 detached dwellings.

Atodiadau:


Ein hymateb:

It is considered that there is sufficient and more appropriate land available for residential use within the settlement to accommodate its housing need.

Cefnogi

Ail Gynllun Datblygu Lleol Adneuo Diwygiedig Sir Gaerfyrddin

ID sylw: 4655

Derbyniwyd: 17/03/2023

Respondent ID: 4580

Ymatebydd: Mr Wyn Humphreys

Crynodeb o'r Gynrychiolaeth:

The respondent supports the Council's decision to exclude site SR/162/002 from the development limits. Reasons cited include:
- The village of Whitemill is a dispersed settlement where development proposals should be considered very carefully. New homes should be must be in suitable locations, which this site is not.
- The development would represent an outward extension of built development into open countryside resulting in a visual intrusion into the countryside and a coalescence of settlements to the detriment of the appearance and character of the area.
- The development does not fit in with the character of the village form and landscape, and it cannot be classified as a logical extension or rounding of the development due to its location and nature of its surroundings.
- Concern about access via an unclassified dead end narrow single track country lane.
- Flooding concerns - the site lays on the boundary of the C2 zone. In addition, the site is located at the very bottom of a very large drainage basin with severe water run-off from higher ground.
- There would be an adverse impact on the nearby property known as Maesawelon, directly overlooking with a total loss of privacy.

Newid wedi’i awgrymu gan ymatebydd:

No change to the Plan.

Testun llawn:

Please see comments below

Atodiadau:


Ein hymateb:

Support welcomed

Gwrthwynebu

Ail Gynllun Datblygu Lleol Adneuo Diwygiedig Sir Gaerfyrddin

ID sylw: 4659

Derbyniwyd: 23/03/2023

Respondent ID: 3781

Ymatebydd: Mr Jeff Davies

Cydymffurfio â’r gyfraith? Nac Ydi

Cadarn? Nac Ydi

Crynodeb o'r Gynrychiolaeth:

An objection to the boundary change in Llanllwch. This representation relates to the western side change (ref: AS/098/003) for the following reasons:

- Poor access to extended areas.
- High volume of traffic already going through this village
- Plenty of new developments in the area that are better suited.
- Single track road + narrow bridge and a danger from cars reversing.
- Strain on infrastructure.
- Hazardous to walk through the village on times.

(see representation 5219 for an objection to the eastern boundary change.)

Newid wedi’i awgrymu gan ymatebydd:

Not to extend the boundary in the village of Llanllwch

Testun llawn:

I am not objecting to the wording of SD1 but the boundary limits as they relate to Llanllwch village.
The village boundary limits seem to have been extended, since the application for these two sites were submitted.
As previously stated in the 1st deposit of the LDP through to 2033, for the sites SR/098/001 + SR/098/002.
Poor access - both extended boundary areas lead onto a single track road.
High volume of traffic already plague this area. This will be increased with the agreed developments in Llangain and Travellers Rest/St David’s new road, as a lot of that traffic cut through Llanllwch.
Single track bridge, that has been damaged in the past and does lead to some vehicles, having to revers back towards a blind corner.
Additional traffic from any developments in the extended boundary area would only add to theses issues.
Any development would also add strain to the sewerage, water and electrical infrastructure.
Hazardous to walk in the village on times due to the lack of footpaths and vehicle congestion.
The area has a potential to flood.

Atodiadau:


Ein hymateb:

This assessment of the site has been undertaken in accordance with national guidance and the Site Assessment Methodology and background/topic papers and the supporting evidence. The site is considered appropriate as small scale development, and as such has been included in the development limits. Whilst the site is within the proposed development limits it will be for a planning application to determine the acceptability of any potential proposal. This includes highway, infrastructure and amenity considerations and will form part of a planning application process should a development be taken forward to application stage.

Gwrthwynebu

Ail Gynllun Datblygu Lleol Adneuo Diwygiedig Sir Gaerfyrddin

ID sylw: 4677

Derbyniwyd: 28/03/2023

Respondent ID: 766

Ymatebydd: Mr IR Watts

Cydymffurfio â’r gyfraith? Ydi

Cadarn? Ydi

Crynodeb o'r Gynrychiolaeth:

I would like to extend the development limits in LLandybie, as shown highlighted in yellow on the attached plan.
Site reference: AS2/082/001.

Newid wedi’i awgrymu gan ymatebydd:

Extend the development limits in LLandybie to include the land highlighted in yellow.

Testun llawn:

I would like to extend the development limits in LLandybie

Atodiadau:


Ein hymateb:

It is considered that there is sufficient and more appropriate land available for residential use within the settlement to accommodate its housing need.

Gwrthwynebu

Ail Gynllun Datblygu Lleol Adneuo Diwygiedig Sir Gaerfyrddin

ID sylw: 4699

Derbyniwyd: 03/04/2023

Respondent ID: 5328

Ymatebydd: Mr Jon Wilshire

Cydymffurfio â’r gyfraith? Heb nodi

Cadarn? Heb nodi

Crynodeb o'r Gynrychiolaeth:

Objection to the non-inclusion of site AS2/061/001 from development limits. The site is a small logical extension to the existing built form in Rehoboth Road, Five Roads. It is proportionate to the settlement in scale, in a location of modern detached dwellings. It is notable that if the site was located in a smaller village, a proposal for two new dwellings would entirely accord with the development plan. There is an inconsistency in the development plan policies (as a consequence of the tightly drawn development limits) which allow for small scale development in less sustainable settlements but preclude logical sites such as this within larger villages. It would be gratefully received if the representation is acknowledged.

Newid wedi’i awgrymu gan ymatebydd:

Change to the plan to include site.

Testun llawn:

The site is a small logical extension to the existing built form. It is proportionate to the settlement in
scale, in a location of modern detached dwellings. It is notable that if the site was located in a smaller
village, a proposal for two new dwellings would entirely accord with the development plan. There is
an inconsistency in the development plan policies(as a consequence of the tightly drawn development
limits) which allow for small scale development in less sustainable settlements but preclude logical
sites such as this within larger villages.
It would be gratefully received if the representation is acknowledged.

Atodiadau:


Ein hymateb:

It is considered that there is sufficient and more appropriate land available for residential use within the settlement to accommodate its housing need.

Gwrthwynebu

Ail Gynllun Datblygu Lleol Adneuo Diwygiedig Sir Gaerfyrddin

ID sylw: 4709

Derbyniwyd: 30/03/2023

Respondent ID: 5524

Ymatebydd: Fran, Ben & Richard Graham

Nifer y bobl: 3

Cydymffurfio â’r gyfraith? Heb nodi

Cadarn? Ydi

Crynodeb o'r Gynrychiolaeth:

Seek the inclusion of a minor infill residential plot (AS2/019/003) in close vicinity to existing dwellings and our business, Beacon Stoves. It fits with the character of Capel Iwan, it’s form and landscape. There is a personal local need for Housing in the vicinity of my place of work/family business. The closest site has a long delivery time of 6-10 years (SuV38/h1) Maes y Bryn.

Testun llawn:

My parents and I live in Park Gwair, Capel Iwan. Our family business Beacon Stoves show room is located next door at Ty Pren, Capel Iwan. My parents and I plan to continue working and living on my parent’s land in separate dwellings. The new deposit is reducing the Development zone on our field in the vicinity of my parents dwelling.

We suggest an ancillary Residential Development, windfall site consisting of a minor infill in close vicinity to existing dwellings and logical extension of the development pattern in Capel Iwan. It fits with the character of Capel Iwan, it’s form and landscape.
The plan is sound, and it fits, it is appropriate, and it will be delivered. The site also has regard to the Well-being of Future generations Act 2015 and to well-being goals. The suggestion is arising from my personal local need for Housing in the vicinity of my place of work/family business. The closest site has a long delivery time of 6-10 years (SuV38/h1) Maes y Bryn

Please find map attached with suggestion line in RED.

Atodiadau:


Ein hymateb:

It is considered that there is sufficient and more appropriate land available for residential use within the settlement to accommodate its housing need.

Gwrthwynebu

Ail Gynllun Datblygu Lleol Adneuo Diwygiedig Sir Gaerfyrddin

ID sylw: 4720

Derbyniwyd: 20/03/2023

Respondent ID: 5529

Ymatebydd: Mr & Mrs A Davies

Nifer y bobl: 2

Cydymffurfio â’r gyfraith? Heb nodi

Cadarn? Nac Ydi

Crynodeb o'r Gynrychiolaeth:

Duplicate of representation 4912.

Newid wedi’i awgrymu gan ymatebydd:

Include the above site within the development limits for Penybanc, Ammanford within the Revised LDP.

Testun llawn:

Please refer to our ‘Candidate Site – Supporting Statement’


Ein hymateb:

It is considered that there is sufficient and more appropriate land available for residential use within the settlement to accommodate its housing need.

Gwrthwynebu

Ail Gynllun Datblygu Lleol Adneuo Diwygiedig Sir Gaerfyrddin

ID sylw: 4724

Derbyniwyd: 05/04/2023

Respondent ID: 3938

Ymatebydd: Mr Christopher Williams

Cydymffurfio â’r gyfraith? Ydi

Cadarn? Nac Ydi

Crynodeb o'r Gynrychiolaeth:

Objection to the inclusion of part of candidate site SR/117/005 (AS2/117/002) within the Revised LDP in Nantgaredig. The vehicular access to Nantgaredig is inadequate for the proposed development.

Newid wedi’i awgrymu gan ymatebydd:

Remove all of candidate site SR/117/005 from inclusion within the Revised LDP.

Testun llawn:

The vehicular access to Nantgaredig is inadequate for the proposed development.


Ein hymateb:

This assessment of the site has been undertaken in accordance with national guidance and the Site Assessment Methodology and background/topic papers and the supporting evidence. The site is considered appropriate as small scale development, and as such has been included in the development limits. Whilst the site is within the proposed development limits it will be for a planning application to determine the acceptability of any potential proposal. This includes highway, infrastructure and amenity considerations and will form part of a planning application process should a development be taken forward to application stage.

Gwrthwynebu

Ail Gynllun Datblygu Lleol Adneuo Diwygiedig Sir Gaerfyrddin

ID sylw: 4727

Derbyniwyd: 16/03/2023

Respondent ID: 2598

Ymatebydd: MR Meredydd Edwards

Cydymffurfio â’r gyfraith? Heb nodi

Cadarn? Heb nodi

Crynodeb o'r Gynrychiolaeth:

Objection to the proposed development limit boundary in Carmarthen (SR/021/007) for the following reasons:
- Highways - Springfield Road is not suitable for additional vehicle movements. The road is narrow and for a distance of approximately 40 metres it is not possible for two cars to pass. A planning application for 4 detached dwellings on this field (ref. W/04762 ) was refused in 2001 for a number of reasons, one being that the road is considered inadequate in terms of width, alignment or passing places to accommodate the further traffic.
- Harmful affect of amenity by overlooking and loss of privacy - The site abuts the rear boundary of our home and its curtilage and is on land that is sloping upwards from the common boundary, the northern most part of the land being at least eye level with our first-floor bedrooms. Any development on the site would have a detrimental and harmful effect on our property, resulting in our living rooms, bedrooms and garden being overlooked.
More detail is provided in the submission.

Newid wedi’i awgrymu gan ymatebydd:

Remove the site from the development limits.

Testun llawn:

DETAILED REPRESENTATION
Objection to the proposed development limit boundary moving from the rear boundary of our
property to the far side boundary of the field immediately abutting our property. (please see Fig. 1 and Fig. 2)

Reasons:
HIGHWAYS - Springfield Road is not suitable for additional vehicle movements. The road is narrow
and for a distance of approximately 40 metres it is not possible for two cars to pass. A planning application for 4 detached dwellings on this field (ref. W/04762 – copy attached) was refused in 2001 for a number of reasons, one being:
'The existing road (Springfield Road) is considered inadequate in terms of width, alignment or passing
places to accommodate the further traffic which would be caused by the proposed development'.

The number of cars on the road has increased dramatically since 2002 and therefore this reason for refusal is now more relevant than ever as it could have an increased harmful effect on highway safety.

HARMFUL EFFECT OF AMENITY — OVERLOOKING / LOSS OF PRIVACY - The site abuts the rear
boundary of our home and its curtilage, Llys y coed, Springfield Road and is on land that is sloping
upwards from the common boundary, the northern most part of the land being at least eye level with our first-floor bedrooms. (Fig. 3, 4 and 5) . Any development on the site would have a detrimental and harmful effect on our property, resulting in our living rooms, bedrooms and garden being overlooked.

A planning application (ref. TMT/02859 – copy attached) for 2 Executive Houses on the land was refused in 2002. One of the reasons for refusal in this case referred to backland or tandem development:

'the development if allowed would result in backland / tandem development to the rear of existing residential properties which would have an unacceptable detrimental impact on the amenity and privacy enjoyed by these properties'.

Again, this reason for refusal is as relevant now as it was in 2003. Development at this site would definitely have an unacceptable detrimental impact on our amenity and privacy.

Atodiadau:


Ein hymateb:

This assessment of the site has been undertaken in accordance with national guidance and the Site Assessment Methodology and background/topic papers and the supporting evidence. The site is considered appropriate as small scale development, and as such has been included in the development limits. Whilst the site is within the proposed development limits it will be for a planning application to determine the acceptability of any potential proposal. This includes highway, infrastructure and amenity considerations and will form part of a planning application process should a development be taken forward to application stage.

Gwrthwynebu

Ail Gynllun Datblygu Lleol Adneuo Diwygiedig Sir Gaerfyrddin

ID sylw: 4733

Derbyniwyd: 30/03/2023

Respondent ID: 435

Ymatebydd: Mr T Anthony

Cydymffurfio â’r gyfraith? Heb nodi

Cadarn? Nac Ydi

Crynodeb o'r Gynrychiolaeth:

Objection to Policy SD1 seeking inclusion of new site within development limits (AS2/004/001, Ammanford).

Newid wedi’i awgrymu gan ymatebydd:

Include new site within the development limits.

Testun llawn:

Development limits should be extended to include the field forming part of Cefn Cenfi Farm, (for identification purposes part of the field is shown hatched on the attached plan). This is the widest part of the road, with good access and no known site constraints.

Atodiadau:


Ein hymateb:

It is considered that there is sufficient and more appropriate land available for residential use within the settlement to accommodate its housing need. The site is detached from the main settlement and would have a detrimental impact on the character of the area.

Cefnogi

Ail Gynllun Datblygu Lleol Adneuo Diwygiedig Sir Gaerfyrddin

ID sylw: 4738

Derbyniwyd: 28/03/2023

Respondent ID: 5537

Ymatebydd: Ms & Mr L & A Edwards

Nifer y bobl: 2

Asiant : Evans Banks Planning Limited

Crynodeb o'r Gynrychiolaeth:

We welcome the decision of the Authority to concur with the representation previously made in relation to our Clients land and fully support their decision to include the land within the development limits for Llanarthne.
N.B. the correct candidate site reference is SR/076/002.

Newid wedi’i awgrymu gan ymatebydd:

No change to the Plan.

Testun llawn:

We are instructed by Ms L and Mr A Edwards to make a formal representation with regards to the above land and the Deposit Draft of the Carmarthenshire Local Development Plan.
Our clients made a formal Candidate Site Submission in August 2018, which was referenced
SR/090/002, seeking the inclusion of their land within the development limits of Llanarthne as part of the Replacement Local Development Plan. The Candidate Site comprised of part of a single enclosure, with its northern boundary fronting onto the adjoining public highway,
from which access to it was gained. Its eastern and western boundaries are then well defined by existing development, whilst it’s remaining southern boundary then leads on to
the remainder of the agricultural enclosure it forms part of. The land therefore clearly represented a logical infill opportunity within the settlement and its extents are illustrated by the red line below.

Following its due consideration, the Council then included the land in question within the
Development Limits for the settlement of Llanarthne in its Deposit LDP, published in January
2020. However, for reasons outlined by the Council in their current submissions, a revised
second edition Deposit LDP was then prepared.
As part of the current consultation process into the 2nd Deposit LDP, the Council have again
published a “Site Assessment Table” (2023), which provides details of the Council’s analysis
of each received Candidate Site submission. We note that our Clients land was considered
as part of this process and as a result the Authority concluded as follows:

“The site cannot accommodate 5 or more dwellings. It will be included within development limits due to its position in relation to the existing built form, and will contribute to small sites.”

As a result of the above, Plan B represents an extract of the Deposit LDP Proposals Map for Llanarthne, clearly now identifying our Clients land as lying within the defined development limits:

We therefore welcome the decision of the Authority to concur with the representation previously made in relation to our Clients land and fully support their decision to include the land within the development limits.

Yours sincerely,
Jason D Evans

Atodiadau:


Ein hymateb:

Support welcomed.

Gwrthwynebu

Ail Gynllun Datblygu Lleol Adneuo Diwygiedig Sir Gaerfyrddin

ID sylw: 4739

Derbyniwyd: 06/04/2023

Respondent ID: 4511

Ymatebydd: Mrs Karen Davies

Cydymffurfio â’r gyfraith? Nac Ydi

Cadarn? Nac Ydi

Crynodeb o'r Gynrychiolaeth:

Objection to the inclusion of SR/098/002 within the development limits, which has on several occasions been refused.
- The highway infrastructure is inadequate, lack of footpaths and already a danger to pedestrians and cyclists. The increase in the volume of traffic is at capacity before the development of 36 houses in llangain!!.
- Public services, drainage/ sewers adding potential increase to flooding.
- The detrimental effects on hedgerows and removal of old established trees.

Newid wedi’i awgrymu gan ymatebydd:

Changes not to have been made to extend the boundary limit.

Testun llawn:

Objection to application SR/098/002 to the change in the boundary limits being extended,this has on several occasions been refused! so why has it been proposed yet again ! what's changed?.
The highway infrastructure is inadequate, lack of footpaths and already a danger to pedestrians and cyclists.
The increase in the volume of traffic is at capacity before the development of 36 houses in llangain!!.
Public services, drainage/ sewers adding potential increase to flooding.
The detrimental effects on hedgerows and removal of old established trees.
Concerns still relate to both sites SR/098/002 and SR/098/001 both sites not suitable for development.


Ein hymateb:

This assessment of the site has been undertaken in accordance with national guidance and the Site Assessment Methodology and background/topic papers and the supporting evidence.

Cefnogi

Ail Gynllun Datblygu Lleol Adneuo Diwygiedig Sir Gaerfyrddin

ID sylw: 4743

Derbyniwyd: 10/04/2023

Respondent ID: 4416

Ymatebydd: Mr Nigel Woolford

Crynodeb o'r Gynrychiolaeth:

We support the Council's proposed development line, for the Pwll area and feel that no green field sites should be added.

Newid wedi’i awgrymu gan ymatebydd:

No change

Testun llawn:

We support the Coucil's proposed development line, for the Pwll area and feel that no green field sites should be added.


Ein hymateb:

Support welcomed

Cefnogi

Ail Gynllun Datblygu Lleol Adneuo Diwygiedig Sir Gaerfyrddin

ID sylw: 4761

Derbyniwyd: 28/03/2023

Respondent ID: 3007

Ymatebydd: Mr M Fyfield

Asiant : Evans Banks Planning Limited

Crynodeb o'r Gynrychiolaeth:

We welcome the decision of the Authority to concur with the representation previously made in relation to our Client’s land (candidate site SR/164/001 in Ystradowen) and fully support their decision to include the land within the development limits in the Revised LDP under Policy SD1.

Newid wedi’i awgrymu gan ymatebydd:

No Change to the Plan.

Testun llawn:

We are instructed by Mr M Fyfield to make a formal representation with regards to the above land and the 2nd Deposit Draft of the Carmarthenshire Local Development Plan.

Our Client’s made a formal Candidate Site Submission in August 2018, which was referenced SR/164/001, seeking the inclusion of their land within the development limits of
Ystradowen as part of the Replacement Local Development Plan. The Candidate Site comprised of a small parcel of land directly adjoining the residential area of Berrington Villas. As a result, existing development adjoins its northern and western boundaries, with access being gained directly off the adjoining public highway to tis west. Its remaining eastern and southern boundaries are then defined by an established means of enclosure. The land therefore clearly represented a logical infill opportunity within the settlement and its extents are illustrated by the red line below.

Following its due consideration, the Council then included the land in question within the Development Limits for the settlement of Ystradowen in its Deposit LDP, published in January 2020. However, for reasons outlined by the Council in their current submissions, a revised second edition Deposit LDP was then prepared.

As part of the current consultation process into the 2nd Deposit LDP, the Council have again published a “Site Assessment Table” (2023), which provides details of the Council’s analysis of each received Candidate Site submission. We note that our Client’s land was considered
as part of this process and as a result the Authority concluded as follows:

“The site cannot accommodate 5 or more dwellings. It will be included within development limits due to its position in the urban form, and will contribute to small sites."

As a result of the above, Plan B represents an extract of the 2nd Deposit LDP Proposals Map for Ystradowen, clearly now identify our Client’s land as part of the defined development limits:

We therefore welcome the decision of the Authority to concur with the representation previously made in relation to our Client’s land and fully support their decision to include the land within the development limits.

Yours sincerely,
Jason D Evans

Atodiadau:


Ein hymateb:

Support welcomed.

Gwrthwynebu

Ail Gynllun Datblygu Lleol Adneuo Diwygiedig Sir Gaerfyrddin

ID sylw: 4814

Derbyniwyd: 11/04/2023

Respondent ID: 5571

Ymatebydd: Mrs Catherine Rees

Cydymffurfio â’r gyfraith? Ydi

Cadarn? Ydi

Crynodeb o'r Gynrychiolaeth:

This objections relates to a specific piece of land situated behind Cawdor Parc in Ffairfach (AS2/080/003) which should be removed from the Urban Boundary. It is a brownfield site and previously was a gas works.

This is not a suitable piece of land for residential (or business) purposes. All previous applications for planning permission on this site has either been withdrawn or refused. To my knowledge, previous decisions were based on access issues and flood risk. Nothing has changed, access is still an impossible issue, as is the flood risk amongst other legitimate objections and refusals.

Newid wedi’i awgrymu gan ymatebydd:

The address of this land is Heol Cennen, Ffairfach, SA19 6UL and the perimeter is outlined in red on the attached map. Relating to planning application PL/00915. This piece of land should be removed from the development limits as it is not suitable for any development (residential or business). This view is supported by both the objections from local residents whom it would have a detrimental impact and also importantly, the statutory organisations/bodies consulted with, have either rejected the planning application or have advised that the County Council should refuse planning permission. A full refusal to the planning application was granted on the 24th November 2021.
Below are some of the comments from the statutory organisations in their written responses as part of the planning application process;
Natural Resources Wales (NRW) confirmed (along with the council) that this land is a Flood C2 zone and any development of this land would have an adverse impact. NRW refused permission given the Flood Risk and referenced section 6 of TAN 15, they also referenced that a Zone C2 area means that it is without significant flood defence infrastructure.

Welsh Government (Economy and Infrastructure) stated that the existing access (which cannot be changed as it is on the boundary of other properties) does not meet current trunk road standards and should not be used for direct vehicular site access.

Highways and Transport Department stated that permission be refused: the traffic generated by the development would use an existing access which is unsuitable because it has restricted width at the county road. Also, the existing access road is considered inadequate in terms of width, alignment or passing places to accommodate further traffic caused by any development.

Welsh Water has a trunk/distribution watermain across the site and stated that no structure is to be sited within a minimum distance of 6 metres from the centre line of the pipe, that no heavy earthmoving machinery should be employed, that the water main should be kept free from all temporary buildings etc and the existing ground cover on the water main should not be increased or decreased.

This was a former gas works site and a remediation report was undertaken in 2004 and clearly states that 'it is understood that there are no proposed plans for development at the site and as such this specification does not include for improvement at the site for future development' this would indicate that at the time of reporting the site was remediated to the standard necessary so that it was not posing a risk to receptors such as surface water, groundwater and third party properties, but did not remediate the site to the standard required to support residential properties. The report also stated that should the site be redeveloped in the future, further chemical and geotechnical appraisal in accordance with the proposed end-use would be appropriate.

This is an ecological area with bats, wildlife and backs onto the river Towy, there are already concerns relating to phosphates and with this being a former gas works site and contaminated land, this poses a significant risk.

As I am only able to attach 4 documents to this objection, please can I ask kindly that you look at the planning application (PL/00915) responses so that you can see all the reasons why developing this land at any point (now or in the future) is unsuitable, and therefore why it should be removed from development limits.

Testun llawn:

This objections relates to a specific piece of land situated behind Cawdor Parc in Ffairfach which should be removed from the Urban Boundary. It is a brownfield site and previously was a gas works.
This is not a suitable piece of land for residential (or business) purposes. All previous applications for planning permission on this site has either been withdrawn or refused. To my knowledge, previous decisions were based on access issues and flood risk. Nothing has changed, access is still an impossible issue, as is the flood risk amongst other legitimate objections and refusals.

Atodiadau:


Ein hymateb:

This assessment of the site has been undertaken in accordance with national guidance and the Site Assessment Methodology and background/topic papers and the supporting evidence. The site is considered appropriate as small scale development, and as such has been included in the development limits. Whilst the site is within the proposed development limits it will be for a planning application to determine the acceptability of any potential proposal. This includes highway, infrastructure and amenity considerations and will form part of a planning application process should a development be taken forward to application stage.

Gwrthwynebu

Ail Gynllun Datblygu Lleol Adneuo Diwygiedig Sir Gaerfyrddin

ID sylw: 4820

Derbyniwyd: 12/04/2023

Respondent ID: 5587

Ymatebydd: Mr Shaun Ormond

Cydymffurfio â’r gyfraith? Nac Ydi

Cadarn? Nac Ydi

Crynodeb o'r Gynrychiolaeth:

Inadequate and dangerous access to site. Weight restriction on bridge. Single lane road becomes gridlocked daily. No footpath. Potential risk of flooding to mill row. Inadequate sewerage system. Removal of hedge rows. Hill treacherous during winter months. Invasion of our privacy. More unnecessary traffic which the road cannot deal with.

(site ref: SR/098/002 in Llanllwch, Carmarthen)

Newid wedi’i awgrymu gan ymatebydd:

I oppose to any change of the land into any form of a residential site. These plans have been declined before on several occasions for good reason.

Testun llawn:

Inadequate and dangerous access to site. Weight restriction on bridge. Single lane road becomes gridlocked daily. No footpath. Potential risk of flooding to mill row. Inadequate sewerage system. Removal of hedge rows. Hill treacherous during winter months. Invasion of our privacy. More unnecessary traffic which the road cannot deal with.

Atodiadau:


Ein hymateb:

Part of the site has been included within the limits and is considered appropriate as small scale development. The majority of the site has been excluded and therefore that element of the objection is agreed by both parties.

Gwrthwynebu

Ail Gynllun Datblygu Lleol Adneuo Diwygiedig Sir Gaerfyrddin

ID sylw: 4870

Derbyniwyd: 12/04/2023

Respondent ID: 3131

Ymatebydd: Mrs Sarah Kelley

Cydymffurfio â’r gyfraith? Nac Ydi

Cadarn? Nac Ydi

Crynodeb o'r Gynrychiolaeth:

SR/098/001

I'm objecting to the change made, without consultation, in the development limits for Llanllwch. I reiterate my comments on the original LDP.
Access to site SR/098/001 is restricted by the narrowness of the access road, both through the village of Llanllwch and down the hill from Alltycnap Road. Proposed developments would cause an increase in traffic in an already well documented problematic area. Lack of mains gas to the proposed sites. Increased potential of flooding due to increased run off to storm drains and the stream.
Far more suitable sites have been proposed within close proximity to Llanllwch

Newid wedi’i awgrymu gan ymatebydd:

I propose the original development limits of Llanllwch are reinstated.

Testun llawn:

I'm objecting to the change made, without consultation, in the development limits for Llanllwch. I reiterate my comments on the original LDP.
Access to sites SR/098/001 and SR/098/002 is restricted by the narrowness of the access road, both through the village of Llanllwch and down the hill from Alltycnap Road. Proposed developments would cause an increase in traffic in an already well documented problematic area.
Lack of mains gas to the proposed sites.
Increased potential of flooding due to increased run off to storm drains and the stream.
Far more suitable sites have been proposed within close proximity to Llanllwch.


Ein hymateb:

This assessment of the site has been undertaken in accordance with national guidance and the Site Assessment Methodology and background/topic papers and the supporting evidence.

Gwrthwynebu

Ail Gynllun Datblygu Lleol Adneuo Diwygiedig Sir Gaerfyrddin

ID sylw: 4872

Derbyniwyd: 12/04/2023

Respondent ID: 3396

Ymatebydd: Mrs Gloria Evans

Cydymffurfio â’r gyfraith? Nac Ydi

Cadarn? Nac Ydi

Crynodeb o'r Gynrychiolaeth:

Objecting to the change in the development limits for Llanllwch, which have been made without proper consultation.
Site SR/098/001 is not suitable for development because it is not easily accessed, and does not have appropriate service infrastructure and any development would lead to an increase in the volume of traffic through the village. Issues with traffic in Llanllwch have been raised many times. We are also concerned about flooding and whether the sewer system could handle this many new houses.

Newid wedi’i awgrymu gan ymatebydd:

We believe the original development limits of Llanllwch should be used in the 2nd Deposit Revised RDP.

Testun llawn:

We are objecting to the change in the development limits for Llanllwch, which have been made without proper consultation.
Sites SR/098/001 and SR/098/002 are not suitable for development because they are not easily accessed, they do not have appropriate service infrastructure and any development would lead to an increase in the volume of traffic through the village. Issues with traffic in Llanllwch have been raised many times, the number and size of vehicles and the speed that they come through the village makes it very dangerous for pedestrians and there has been a number of instances of damage to property. We are also concerned about flooding and whether the sewer system could handle this many new houses.


Ein hymateb:

This assessment of the site has been undertaken in accordance with national guidance and the Site Assessment Methodology and background/topic papers and the supporting evidence.

Cefnogi

Ail Gynllun Datblygu Lleol Adneuo Diwygiedig Sir Gaerfyrddin

ID sylw: 4876

Derbyniwyd: 12/04/2023

Respondent ID: 5601

Ymatebydd: Mr Robert Morris

Crynodeb o'r Gynrychiolaeth:

I would like to propose to apply for outline planning for two plots at the bottom of our garden/land.

Newid wedi’i awgrymu gan ymatebydd:

Change to the Plan to include site

Testun llawn:

I would like to propose to apply for outline planning for two plots at the bottom of our garden/land.


Ein hymateb:

Referenced location is unclear. A map was requested but nothing has been received.

Gwrthwynebu

Ail Gynllun Datblygu Lleol Adneuo Diwygiedig Sir Gaerfyrddin

ID sylw: 4878

Derbyniwyd: 12/04/2023

Respondent ID: 3137

Ymatebydd: Mr Adam Lopez

Cydymffurfio â’r gyfraith? Nac Ydi

Cadarn? Nac Ydi

Crynodeb o'r Gynrychiolaeth:

I OBJECT against site SR/098/001 & the change of boundary of the development limits in this part of Llanllwch because:
• See objections for previous LDP for this site
• Highway safety issues.
• Public services - sewer, drainage and water supply issues.
• Effects on existing tree cover/hedgerows.
• This area's been put forward several times in the past and now all of a sudden, it has been tweaked to try again, with a smaller area initially put forward without consultation as a means of starting the process of developing the full field.
• Pollution and Traffic.

Newid wedi’i awgrymu gan ymatebydd:

The change in boundary of the development limits in this part of Llanllwch have been done without consultation. This area is unsuitable for development. This needs retracting and returning to its original boundary and due process followed.

Testun llawn:

I OBJECT against sites SR/098/001, SR/098/002 & the change of boundary of the development limits in this part of Llanllwch because:
• See objections for previous LDP for this site SR/098/002.
• Highway safety issues.
• Public services - sewer, drainage and water supply issues.
• Effects on existing tree cover/hedgerows.
• This area's been put forward several times in the past and now all of a sudden, it has been tweaked to try again, with a smaller area initially put forward without consultation as a means of starting the process of developing the full field.
• Pollution and Traffic.

Atodiadau:


Ein hymateb:

This assessment of the site has been undertaken in accordance with national guidance and the Site Assessment Methodology and background/topic papers and the supporting evidence.

Gwrthwynebu

Ail Gynllun Datblygu Lleol Adneuo Diwygiedig Sir Gaerfyrddin

ID sylw: 4882

Derbyniwyd: 12/04/2023

Respondent ID: 3131

Ymatebydd: Mrs Sarah Kelley

Cydymffurfio â’r gyfraith? Heb nodi

Cadarn? Heb nodi

Crynodeb o'r Gynrychiolaeth:

SR/098/002
I'm objecting to the change made, without consultation, in the development limits for Llanllwch. I reiterate my comments on the original LDP.
Access to site SR/098/002 is restricted by the narrowness of the access road, both through the village of Llanllwch and down the hill from Alltycnap Road. Proposed developments would cause an increase in traffic in an already well documented problematic area. Lack of mains gas to the proposed sites. Increased potential of flooding due to increased run off to storm drains and the stream.
Far more suitable sites have been proposed within close proximity to Llanllwch

Newid wedi’i awgrymu gan ymatebydd:

Remove site from limits

Testun llawn:

I'm objecting to the change made, without consultation, in the development limits for Llanllwch. I reiterate my comments on the original LDP.
Access to sites SR/098/001 and SR/098/002 is restricted by the narrowness of the access road, both through the village of Llanllwch and down the hill from Alltycnap Road. Proposed developments would cause an increase in traffic in an already well documented problematic area.
Lack of mains gas to the proposed sites.
Increased potential of flooding due to increased run off to storm drains and the stream.
Far more suitable sites have been proposed within close proximity to Llanllwch.


Ein hymateb:

This assessment of the site has been undertaken in accordance with national guidance and the Site Assessment Methodology and background/topic papers and the supporting evidence.

Gwrthwynebu

Ail Gynllun Datblygu Lleol Adneuo Diwygiedig Sir Gaerfyrddin

ID sylw: 4883

Derbyniwyd: 12/04/2023

Respondent ID: 3396

Ymatebydd: Mrs Gloria Evans

Cydymffurfio â’r gyfraith? Heb nodi

Cadarn? Heb nodi

Crynodeb o'r Gynrychiolaeth:

Objecting to the change in the development limits for Llanllwch, which have been made without proper consultation.
Site SR/098/002 is not suitable for development because it is not easily accessed, and does not have appropriate service infrastructure and any development would lead to an increase in the volume of traffic through the village. Issues with traffic in Llanllwch have been raised many times. We are also concerned about flooding and whether the sewer system could handle this many new houses.

Newid wedi’i awgrymu gan ymatebydd:

Reinstate original development limits.

Testun llawn:

We are objecting to the change in the development limits for Llanllwch, which have been made without proper consultation.
Sites SR/098/001 and SR/098/002 are not suitable for development because they are not easily accessed, they do not have appropriate service infrastructure and any development would lead to an increase in the volume of traffic through the village. Issues with traffic in Llanllwch have been raised many times, the number and size of vehicles and the speed that they come through the village makes it very dangerous for pedestrians and there has been a number of instances of damage to property. We are also concerned about flooding and whether the sewer system could handle this many new houses.


Ein hymateb:

This assessment of the site has been undertaken in accordance with national guidance and the Site Assessment Methodology and background/topic papers and the supporting evidence.

Cefnogi

Ail Gynllun Datblygu Lleol Adneuo Diwygiedig Sir Gaerfyrddin

ID sylw: 4890

Derbyniwyd: 11/04/2023

Respondent ID: 5607

Ymatebydd: Mrs D McAndrew

Nifer y bobl: 2

Asiant : Evans Banks Planning Limited

Crynodeb o'r Gynrychiolaeth:

Support the site's location within the development limits. Site was referenced SR/049/007 in Drefach.

Newid wedi’i awgrymu gan ymatebydd:

No change to the Plan

Testun llawn:

We are instructed by Mrs D. McAndrew to make a formal representation with regards to the above land and the Second Deposit Draft of the Carmarthenshire Replacement Local Development Plan.
Our client made a formal Candidate Site Submission in August 2018, which was referenced SR/049/007, seeking the allocation of their land for residential development within the settlement limits of Drefach as part of the Replacement Local Development Plan.
The Candidate Site comprises of an undeveloped roadside enclosure set off the northern flank of Heol Ddu. Off its rear, and northern perimeter lies a public playing field and
children’s playground, with residential properties off both side perimeters. It also lies directly
opposite frontage houses off the eastern flank of the road. This stretch of Heol Ddu benefits
from a straight alignment, and also being positioned at the centre of the village core, and thus within easy access on foot to the settlement’s primary school, community centre, small convenience shops and post office, and public bus stops.
The land therefore clearly represented a logical extension opportunity to the existing
settlement and its extents are illustrated by the red line below at Plan A.

The roadside frontage and rear playing field lies outside settlement limits as defined in the
current adopted Local Development Plan (2008-21), despite the site being set at the heart of
the village, surrounded by built development. The site also benefitted from planning
permission to site four detached dwellinghouses under Application W/27335 granted in
2013.
A revised Second Deposit Local Development Plan has now been prepared and published in January 2023. It is subject to public consultation. As part of the current consultation process into the Second Deposit Local Development Plan, the Council have published a “Site
Assessment Table” (January 2023), which provides details of the Council’s analysis of each
received Candidate Site submission.
We note that our clients’ land was considered as part of this process and as a result the
Authority concluded as follows: “The site is densely vegetated and there is sufficient and more suitable land available elsewhere in Drefach to meet its housing needs. However, given its position within the existing built-up area the site is included within the development limits.”

Plan B represents an extract of the Second Deposit LDP Proposals Map for Drefach, clearly now identifying our client’s field frontage as land within the defined settlement limits.
Our client therefore welcome and SUPPORT the decision of the Authority to concur with the representations previously made in relation to our clients’ land.

We can also confirm that the land continues to not face any ecological, flood risk related, highway, infrastructure or land ownership constraints that would restrict its ability to be
delivered during the Plan period.

We therefore fully support the decision of the Authority to include the land for the purposes of Residential Development as part of the Carmarthenshire Replacement Local Development Plan.

Atodiadau:


Ein hymateb:

Support welcomed.

Gwrthwynebu

Ail Gynllun Datblygu Lleol Adneuo Diwygiedig Sir Gaerfyrddin

ID sylw: 4891

Derbyniwyd: 12/04/2023

Respondent ID: 3137

Ymatebydd: Mr Adam Lopez

Cydymffurfio â’r gyfraith? Heb nodi

Cadarn? Heb nodi

Crynodeb o'r Gynrychiolaeth:

I OBJECT against site SR/098/002 & the change of boundary of the development limits in this part of Llanllwch because:
• See objections for previous LDP for this site
• Highway safety issues.
• Public services - sewer, drainage and water supply issues.
• Effects on existing tree cover/hedgerows.
• This area's been put forward several times in the past and now all of a sudden, it has been tweaked to try again, with a smaller area initially put forward without consultation as a means of starting the process of developing the full field.
• Pollution and Traffic.

Newid wedi’i awgrymu gan ymatebydd:

Reinstate original development limits.

Testun llawn:

I OBJECT against sites SR/098/001, SR/098/002 & the change of boundary of the development limits in this part of Llanllwch because:
• See objections for previous LDP for this site SR/098/002.
• Highway safety issues.
• Public services - sewer, drainage and water supply issues.
• Effects on existing tree cover/hedgerows.
• This area's been put forward several times in the past and now all of a sudden, it has been tweaked to try again, with a smaller area initially put forward without consultation as a means of starting the process of developing the full field.
• Pollution and Traffic.

Atodiadau:


Ein hymateb:

This assessment of the site has been undertaken in accordance with national guidance and the Site Assessment Methodology and background/topic papers and the supporting evidence.

Gwrthwynebu

Ail Gynllun Datblygu Lleol Adneuo Diwygiedig Sir Gaerfyrddin

ID sylw: 4907

Derbyniwyd: 23/03/2023

Respondent ID: 575

Ymatebydd: Mr G W & Mrs O L Bulford

Nifer y bobl: 2

Cydymffurfio â’r gyfraith? Heb nodi

Cadarn? Nac Ydi

Crynodeb o'r Gynrychiolaeth:

The land has been allocated for housing in previous development plans, but has been removed in the Revised LDP. This all seems to coincide with the recent outline planning allocated to the land next to 14 Trem y Cwm, this borders the permitted housing section of our land. In the revised plan there are 2 new permitted housing plots at the end of the village (north west) as well as some infill.
We would like the permitted housing reinstated on our land, as we now have 3 possible points of access for future planning. The original development plan (1998) show that the Term y Cwm development and our land were intended for permitted housing.

Newid wedi’i awgrymu gan ymatebydd:

Include the land within the development limits/allocate for housing.

Testun llawn:

Dear Sir/ Madam,
We bought our land in 1998 and built our bungalow. The Carmarthenshire Development Plan at that stage clearly shows a section of our land was allocated for permitted housing, we have applied for housing on two separate occasions. Since that date all of the successive development plans have shown the same part of our land allocated for housing, including the 1st version of the 2018-2033 plan.
When the revised version of the 2018 - 2033 plan was published (23 February) the allocation for permitted housing on our land had been removed. On further research we notice the allocation has already been removed from the current working plan. This all seems to coincide with the recent outline planning allocated to the land next to 14 Trem y Cwm, this borders the permitted housing section of our land. In the revised plan there are 2 new permitted housing plots at the end of the village (north west) as well as some infill. These are clearly up for discussion, but there has been no communication with us about renewing the allocation for permitted housing for our land.
We would like the permitted housing reinstated on our land, as we now have 3 possible points of access for future planning. The original development plan (1998) show that the Term y Cwm development and our land were intended for permitted housing.

Atodiadau:


Ein hymateb:

The development limits have been drawn to reconcile the pattern and the layout of development which has been delivered on the current housing allocation at Trem y Cwm. It does not appear that the land immediately to the rear of the representation site has a suitable access without impacting on the amenity of neighbouring properties

Gwrthwynebu

Ail Gynllun Datblygu Lleol Adneuo Diwygiedig Sir Gaerfyrddin

ID sylw: 4912

Derbyniwyd: 24/03/2023

Respondent ID: 5529

Ymatebydd: Mr & Mrs A Davies

Nifer y bobl: 2

Cydymffurfio â’r gyfraith? Heb nodi

Cadarn? Nac Ydi

Crynodeb o'r Gynrychiolaeth:

Site ref. AS2/004/003, Ammanford. As indicated in red on the Revised LDP extract plan below, our candidate site is bounded to the south and opposite by the residential development limits as delineated in both the current LDP and the proposed Revised LDP. The site lies outside of the area within which a financial contribution would be required towards funding the implementation of specific marsh fritillary butterfly habitat management initiatives, the boundary of which is indicated by the dashed purple line in the plan above. With established residential development to the north, south and east, the candidate site represents a logical location for partly infill, residential development.

Newid wedi’i awgrymu gan ymatebydd:

Include the site in the Plan.

Testun llawn:

1. Introduction

This document is provided in support of our submission that seeks the allocation of land in
our ownership for residential development in the new, Revised Local Development Plan
(Revised LDP).
The detailed appraisal that has been prepared in accordance with our understanding of the
relevant national and local planning policies and guidance seeks to demonstrate that the
subject land meets all of the relevant criteria for inclusion as an allocated site within the new
Revised LDP.

2. Planning Policy and Guidance
The national land use policies for Wales are set out in the Welsh Government publication
Planning Policy Wales, Edition 11 (PPW) that principally requires that planning policies,
proposals and decisions must promote sustainable development and support the well-being
of people within their communities. New development has to be sustainable and improve the
social, economic, environmental and cultural well-being of Wales.
PPW, that is supported by a series of focussed, topic based Technical Advice Notes (TANs)
and other key legislation such as the Planning (Wales) Act 2015, and the Well-being of
Future Generations (Wales) Act 2015, conveys that ‘Local Development Plans should set
out a vision for how places are expected to change in land-use terms to accommodate
development needs over the plan period’; that ‘Everyone engaged with or operating within
the planning system in Wales must embrace the concept of placemaking in both plan making
and development management decisions in order to achieve the creation of sustainable
places and improve the well-being of communities’ and that ‘The planning system should
create sustainable places which are attractive, sociable, accessible, active, secure,
welcoming, healthy and friendly. Development proposals should create the conditions to
bring people together, making them want to live, work and play in areas with a sense of
place and well-being, creating prosperity for all.’

Detailed guidance with regard to the preparation of development plans is provided in the
Development Plans Manual, Edition 3, (DPM) March 2020. The DPM identifies the key
requirements in the consideration of a candidate site. These are set out as the candidate site
must:
 be at a sustainable location;
 be readily available;
 be free from physical constraints such as access, ground condition; biodiversity or
flooding issues
 whether the site has any relevant planning history; and,
 if there are any barriers to the delivery of the site the candidature must include a
detailed summary as to how the barriers shall be overcome.
Locally, the current Carmarthenshire Local Development Plan (LDP), adopted in December
2014, advocates a hierarchical approach to new residential development, namely, Growth
Areas, Service Centres, Local Service Centres and Sustainable Communities.
The principal status of the Growth Area settlements reflects their high population levels and
that these settlements are well served by the necessary facilities, services and public
transport provision extending beyond their localised catchments that are vital to supporting
the principles of sustainability and are capable of accommodating a proportionally high level
of growth.
The LDP identifies three Growth Areas centred on the principal towns of Carmarthen, Llanelli
and Ammanford respectively. The Ammanford/Cross Hands Growth Area, referenced GA3
within the LDP, is described as performing a key role within the area due to its strategic
location on the M4 corridor and at its role at the hub of the Amman and Gwendraeth Valleys.
The Ammanford/Cross Hands Growth Area is the second largest settlement in population
terms within the LDP.
The LDP conveys that the topographical characteristic of GA3, comprising of two centres,
Ammanford and Cross Hands, along with a number of interrelated, smaller settlements of
varying scale and function, has a direct bearing on the suitability for growth with a balanced
decision having to be taken on the ability of any particular settlement to accommodate new
growth, without resulting in harm to the character of the area or community.

LDP polices AH1 – AH3 detail the need for new residential development to contribute
towards affordable housing in the locality. New developments comprising 5 or more
dwellings are required to provide an on-site accommodation, while smaller developments
require a relevant financial contribution towards the provision of affordable housing in the
area.
The Council’s intention to locate new development primarily within the identified growth
areas reflects the national land use planning aim for sustainable development in well
serviced areas to improve the well-being of the local population.
The Second Deposit Revised LDP, while continuing to identify a settlement hierarchy offers
a new spatial strategy, with a strategic approach aimed at locating new development at
locations that are both deliverable and sustainable. The Revised LDP again identifies key
strategic growth areas focused on six key areas or ‘defined clusters’, three of which are
again centred at Carmarthen, Llanelli and Ammanford/Cross Hands.
The continued approach in the Revised LDP again clearly reflects the national theme of
‘place making’ embedded within PPW that new residential development should seek to
sustain and enhance existing communities. This guiding principal shall ensure that the future
growth of communities shall result in built and natural environments where people can
sustainably live, work and spend their leisure time.
Proposed Strategic Policy SP3 aims to secure that key place-making responsibility through
the provision of new homes at sustainable locations through the allocation of sites at
established settlements in a hierarchical framework of Principal Centres, Service Centres,
Sustainable Villages and Rural Villages.
Strategic Policy SP4 further conveys the Plan’s strategic aim of providing new homes in a
sustainable manner through the allocation of sites in established settlements; supporting
windfall residential development on appropriate sites within settlements; and the provision of
appropriate affordable housing opportunities to meet an identified local need.
Proposed policy AHOM1 maintains the Council’s commitment to the provision of affordable
housing as part of any new residential development.

3. Candidate Site

3.1 Location and Description
Our candidate site is located along the western flank of Parklands Road, Penybanc,
Ammanford as shown on the location plan below.
The site is located a short walk (250 metres) from the social, retail, commercial and
recreational facilities of the community located in close proximity to the junction of Parklands
Road with Penybanc Road (A483). The site is also within walking distance of Parcyrhun
Primary School, Amman Valley Comprehensive School, higher education at Coleg Sir Gar,
Ammanford Campus and the local train (Swansea – Shrewsbury) station (1240 metres).
Bus-stops at the A483 junction provide a regular, every 30 minutes, service to Ammanford,
Llandeilo and Swansea. Similarly, bus stops at the junction of Parklands Road with Dyffryn
Road (at the telephone kiosk symbol on the plan), again within convenient walking distance
(410 metres) provide regular services to Ammanford, Carmarthen, Cross Hands and the
communities of the Gwendreath Valley.
Directly opposite the south-eastern corner of the site is a public footpath (51/21) that
provides for a pleasant, woodland walk to Ammanford.
The convenient public transport, walking and cycling connectivity to Ammanford and the
wider area significantly increases the range of services, amenities and facilities readily
available for Penybanc residents.

The candidate site is situated alongside the bungalow, number 26, to the south with the
remainder of the enclosure up to our agricultural field access immediately adjacent to the
house number 54 to the north, with a mix of houses (35 – 39) and bungalows (33) opposite.
The land that is laid to grass slopes gently downward from north to south with the road
frontage and southern boundaries clearly delineated by stock proof fencing.

3.2 Context
Penybanc principally extends in a linear form along both the A483 Penybanc Road and
Parklands Road with an established group of housing directly opposite the candidate site at
Newtown, Newtown Close, Waunfawr and Park Mill Road.
As indicated in red on the Revised LDP extract plan below, our candidate site is bounded to
the south and opposite by the residential development limits as delineated in both the
current LDP and the proposed Revised LDP
The site lies outside of the area within which a financial contribution would be required
towards funding the implementation of specific marsh fritillary butterfly habitat management
initiatives, the boundary of which is indicated by the dashed purple line in the plan above.
With established residential development to the north, south and east, the candidate site
represents a logical location for partly infill, residential development.

3.3 Planning History
During the 1960s and 1970s a substantial acoustic bund associated with the historic
opencast mining of the area existed along the entirety of the candidate site and the
remainder of the adjoining road frontage. That bund resulted in a significant sense of
enclosure along the street scene.
Full planning permission (P6/13142/87) was granted in July 1987 for a bungalow and garage
at a nearby plot along the road frontage land in our ownership. An extract of the approved
block and location plan is provided below.

3.4 Residential Development Proposal
We anticipate that the site would be developed in a linear arrangement of two bungalows or
dormer bungalows, served by a paired private drive, that would positively respond to both
the site and the surroundings. To ensure that the new development is sympathetic to the
character of the existing housing, the alignment and design shall reflect the form of the
existing nearby properties.

The proposed development shall provide for south/south west facing gardens that shall seek
to maximise the potential for solar energy and contribute positively to the well-being of the
future occupants in that the dwellings shall have private outdoor amenity areas that shall be
available for the maximum periods of time throughout the year.
Although unclassified, Parklands Road where it fronts the site has a carriageway width of
7m, with a grassed verge and 1.7 m wide footway along the site frontage. At the opposite
side of the carriageway the footway fronting the existing bungalows is 1.9 m in width.
The alignment of the highway, together with the wide footway along the site frontage, shall
duly facilitate the required visibility splay for each new vehicular access.
We understand that given the very limited scale of the proposal along with the proximity to
existing facilities there shall be no requirement for an area of on-site, formal open
recreational space. To meet the Council’s requirements in terms of affordable housing we
also understand that the Revised LDP requires the relevant financial contribution towards
affordable housing shall have to be provided, that would be secured by planning obligation.
While the schematic layout proposes what is considered to be a sympathetic form and
density of development, we acknowledge that the final number, design and layout shall be
established through the submission of a full planning application.

3.5 Infrastructure
The candidate site is at a location well served by mains water, gas, electricity, public
sewerage and fast fibre broadband to the home.
Having due regard to disposal of surface water, with the adjoining land being in our
ownership there are a number of options available to facilitate the provision of a sustainable
urban drainage system.

3.6 Ecology
As evident in the photographs provided at 3.1 Location and Description above, the candidate
site is actively used and managed for the purposes of agriculture. The site is part of a larger
enclosure of improved grassland, subject to the usual nutrient practices with the road
frontage defined by a timber post and rail fence.
Other than a very small part in the south-eastern corner being designated grade 3b,
‘moderate quality agricultural land’, the majority of the land is grade 5, ‘very poor quality
agricultural land’.
The candidate site does not form part of any local or national nature conservation
designation, with the nearest Sites of Special Scientific Interest (SSSI), being the group of
fields known as Caeau Blaenau Mawr and Caeau Capel Hendre located 2km to the west.
Having due regard to the above, it is considered that the site has a very low biodiversity
value and that the residential development of the site shall have no detrimental impact upon
any SSSI.

3.7 Environmental Considerations
The candidate site is not located within an area where residential development would cause
concern with regard to river phosphate levels or within any of the categorised flood risk
areas detailed in the Development Advice Maps published by National Resources Wales.
The residential development of the land shall therefore not be at any risk of flooding.
Being in agricultural use the greenfield land has no ground contamination issues.

3.8 Historical Assets
There are no listed buildings or scheduled ancient monuments within or adjoining the
candidate site. Similarly, there are no listed buildings within the community of Penybanc or a
designated conservation area within either Penybanc or Ammanford. The residential
development of the candidate site shall therefore not have any detrimental impact on any
historical asset or the setting of any such asset.

4. Viability and Deliverability

4.1 Financial Viability
National planning policy requires that all land use allocations are both financially viable and
deliverable to ensure that plan making and decision making viability strikes a balance
between the aspirations of developers and landowners, in terms of returns against risk, and
the aims of the planning system to secure maximum benefits in the public interest through
the granting of planning permission.
Though a detailed analysis of the financial viability is difficult at this initial stage due to the
absence of such things as a comprehensive site survey and full engineering details, the
following high level appraisals with due regard to both the current LDP and Revised LDP
have been undertaken. The submitted data has been informed by discussion with
established agents and professionals to ensure that the figures accurately reflect the local
market benchmark land and property values at the present time.
The costs are based upon:
 Three bedroom dwelling – 130m2
 New three bedroom dwelling - £280,000
 Construction cost of £1,500 per square metre
 Utility Connections to include water, electric, gas and foul water
 Professional Fees (including Design, Planning, Building Regulations, Estate
Agents, SAB & LABC warranty) at 8% of the construction fee
 Developer’s profit based upon the RICS guideline of 15%

Two Dwellings with the relevant Affordable Housing financial contribution
Costs No of dwellings Cost per dwelling/m2 Total
3 bed dwellings 2 1500 390,000
Affordable Housing - 41.98 10,915
Utility Connections 5000 10,000
Professional Fees - 31,200
Total 442,115
Sales No of dwellings Value Total
3 bed dwellings 2 280,000 560,000
Total 560,000
Developer’s profit 84,000
Residual Land Value 33,885
The in-principle appraisal above demonstrates that the residential development of our
candidate site would be financially viable, while also capable of providing the relevant
contribution towards affordable housing in the community.

4.2 Deliverability
With the proposed residential development being financially viable, there are no ownership
or physical constraints to prevent the delivery of the candidate site.
The site would, on adoption of the Revised LDP, be immediately available for development
with its delivery, including the community affordable housing benefit, anticipated to be
completed in the short term, within the first 5 years following adoption of the Plan.

5. Comment on the Previous Concerns of the Council
Although the Council previously (SR/004/009) considered the whole of the road frontage
candidate site to be acceptable in terms of the location of future growth presented in its
preferred strategy, both the initial and detailed site assessment, sustainability appraisal and
habitat regulation assessment, the site was not recommended to be taken forward at that
time due to two concerns, namely that it was considered that there is more suitable land
available for residential development and that the development of the site would be likely to
result in ribbon development.

5.1 ‘More suitable land available’
It is reasonably assumed that the land referred to is that at Tirychen Farm, Dyffryn Road,
Ammanford, Revised LDP reference PrC3/h4, an allocation rolled over from the previous
development plan, where Outline planning permission (P6/16576/89) in respect of the
residential development of the land was initially granted in April 1990, having expired three
years later.
Full planning permission (P6/305/95) was granted for 141 houses and bungalows in
February 2008 that expired in February 2013.
Outline planning permission (E/21663) was granted in October 2014, renewed by means of
the Variation of Condition consent (E/38686) approved October 2019. It would seem that this
most recent permission that proposed 289 dwellings expired in October 2021 and as such
there is no current planning permission for the development of that land.
Aside from the key question whether there is a valid consent in place, the deliverability of the
site allocated for 250 dwellings in the LDP and 150 dwellings in the Revised LDP is
extremely doubtful.

Each permission that has been granted at the former Tirychen Farm has been subject to
numerous conditions and a planning obligation. The number and requirement of the
conditions such as significant highway improvements including a new bus layby, along with
the financial and physical requirements of the planning obligation (affordable housing,
cemetery car park extension, six-figure highways and education contributions, detailed
woodland management scheme) render the development beyond the realm of local building
contractors while the national, volume housebuilders have not shown any interest in the site
during the 33 years since permission was first granted, instead focussing their attention on
the M4/A48 corridor, more specifically at sites in and around Cross Hands.
An online search reveals that the land at Tirychen is not presently being marketed which
would indicate that the site was merely being land-banked.
The Council has expressed its own concern with regard to the deliverability of the allocation
in the report to Full Council in January 2018 that adopted a traffic light system in respect of
the viability and deliverability of the proposed residential land allocations within the Revised
LDP. The land at Tirychen Farm was categorised as red, ‘no indication of progress towards
delivery’.
In the absence of a valid planning permission, it would seem extremely questionable
whether a new submission at what is a large scale, rural, natural landscape would be
considered acceptable in the context of the current biodiversity objectives.
The potential delivery of the land at Tirychen, that would appear to require a new planning
permission, is markedly uncertain.

5.2 ‘The development of the candidate site would be likely to result in ribbon
development’
In the absence of any specific reasoning why the allocation of our land would be ‘likely’ to
[not ‘shall’] result in ribbon development, we understand that ribbon development is usually
deemed to be unacceptable as such linear development along highways can result in urban
sprawl or an unacceptable intrusion into the countryside; the inefficient use of resources;
hinder access to and/or the development/use of the land to the rear; and/or result in the
coalescence of settlements.

To address each in turn, our proposed site lies within a well-established area of housing with
the most recent residential development within Penybanc being the bungalows at Waunfawr
and the houses at Newtown Close opposite the candidate site. As such, the residential
development of the land shall not result in an urban sprawl or an unacceptable intrusion into
the open countryside and would be more appropriately characterised as partly infilling an
area within the established built fabric of the community.
The site is well served by the necessary services infrastructure and as such shall not
therefore result in the inefficient use of resources.
Residential development of the site shall not hinder or impede in any way the continued
access to the land to the rear that is served by an existing access to the north of the site and
also from the rear of our home to the south.
Being located within an established residential area the site shall not result in the
coalescence of any neighbouring settlements.
The reduction of the candidate site from that submitted in 2014 (SR/004/009) to comprise
only part of the road frontage shall serve to safeguard against any concern the Council may
have with regard to the loss of part of an area of a natural landscape within the local built
environment. Furthermore, the woodland adjacent to 54 Parklands Road to the north, that
fronts Parcwern Care Home and is only 100 metres from the candidate site, is the subject of
a Tree Preservation Order (CCC TPO E20). That TPO shall ensure that a formally secured,
natural interruption to the street scene is permanently maintained.
The extract from the CCC TPO plan below illustrates the proximity of the candidate site to
the woodland TPO E20.

It is also noted that no concerns with regard to any unacceptable loss of a natural landscape
feature, sporadic or ribbon development were deemed relevant in the grant of planning
permission P6/13142/87 referred to above.
Having due regard to our aforesaid reasoning, it is considered that the residential
development of the site shall not result in ribbon development.

6. Conclusion
Our candidate site, that has housing on two sides and nearby on a third, has all of the mains
services including fast fibre broadband readily available. The site therefore represents a
logical form of part infill development at a sustainable location, being only a short walking
distance to the community social, retail, commercial, and recreational facilities and also to
public transport that regularly links Penybanc with the neighbouring hub of Ammanford and
the wider area, further increasing the range of services and facilities available to future
occupants.
The land that has in part previously benefited from the grant of a residential planning
permission is free from any constraint in terms of access, biodiversity, ground condition or
flooding.
In terms of its sustainability credentials, the simple, efficient layout of the development shall
require minimal access construction; prioritise the solar orientation of houses and gardens;
provide for a sustainable urban drainage system with features such as permeable surfaces
where possible, together with a landscaping scheme that would significantly improve and
enhance the existing biodiversity through the planting of indigenous species. The location of
the site encourages sustainable transport use through convenient, close access to the local
bus and train service along with direct access opposite the site to an attractive public
footpath that affords easy walking connectivity to the town of Ammanford, and also to the
established local cycle path network.
With significant doubt around the deliverability of the only, longstanding allocation in the
locality our candidate site would be immediately available, with no uncertainty in terms of its
viability or deliverability. Although very modest in scale, the allocation of our site for
residential development would represent both a sound option to address the likely deficit in
provision and offer a positive contribution to the housing growth strategy of the area.
We respectfully contend that the robust information provided in this appraisal demonstrates
that the designation of the land for residential development would be consistent with the key
objectives of both national and local guidance and policy objectives in that the candidate site
is at a sustainable location, viable, readily available and free from any physical or
environmental constraints

Atodiadau:


Ein hymateb:

It is considered that there is sufficient and more appropriate land available for residential use within the settlement to accommodate its housing need.